SIRA ORAYA GELDİ

13 Mayıs 2020, Çarşamba
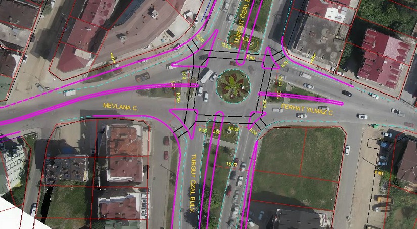
Şehir içindeki trafik yoğunluğunu azaltmak için Altınordu’nun birçok noktasında kavşak düzenleme çalışması yapan Ordu Büyükşehir Belediyesi; Sivas Kavşağı, Belediye Kavşağı, Rus Pazarı Kavşağı’nın ardından rotayı şehrin önemli arterlerinden biri olan Mevl

SIRA ORAYA GELDİ

Şehir içindeki trafik yoğunluğunu azaltmak için Altınordu’nun birçok noktasında kavşak düzenleme çalışması yapan Ordu Büyükşehir Belediyesi; Sivas Kavşağı, Belediye Kavşağı, Rus Pazarı Kavşağı’nın ardından rotayı şehrin önemli arterlerinden biri olan Mevlana Kavşağı’na çevirdi.

Yapılan her çalışmada doğayı korumak için azami gayret gösterdiklerini belirten Genel Sekreter Yardımcısı Bülent Şişman, “Ordu’nun en önemli sorunlarından birisi olan trafiği çözüme kavuşturmak için başlattığımız kavşak düzenleme çalışmalarına devam ediyoruz. Bu kapsamda Mevlana Kavşağı’nda çalışmalarımız başladı. Düzenleme çerçevesinde güzergâhta bulunan büyük ağaçların hiç birine zarar vermeyeceğiz. Sadece bazı küçük ağaçları özel olarak yerinden sökerek yeni yaşam alanlarına götüreceğiz” dedi.

“ÖNCELİĞİMİZ TRAFİK AKIŞINI HIZLANDIRMAK”

Önceliklerinin şehir içi trafik akış hızını artırmak olduğunu ifade eden Genel Sekreter Yardımcısı Bülent Şişman, “İlimizde şehir içi trafik yoğunluğunu azaltmak için başlattığımız kavşak düzenleme çalışmalarına devam ediyoruz. Bu kapsamda Sivas Kavşağı, Belediye Kavşağı, Rus Pazarı Kavşağı’nın ardından Mevlana Kavşağı’nda çalışmalara başladık. Bu kavşağımız birçok ilçemizi birbirine bağlayan önemli yol ağımızdan bir tanesi. İlimizin temel sorunları arasında yer alan trafiği çözüme kavuşturmak için başlattığımız kavşak düzenleme çalışmalarında temel amacımız kırmızı ışık sayısını olabildiğince düşürmek, sarı ve yeşil ışık sayısını da artırmaktır. Buna ek olarak kavşaklardaki dönüşlerde cepleri geniş tutarak araç yoğunluğunu azaltmayı hedefliyoruz. Bu çalışmaları sadece Altınordu ilçemizde değil, diğer trafik yoğunluğunun olduğu ilçelerimizde de yapacağız” diye konuştu

Genel ile ilgili diğer haberler